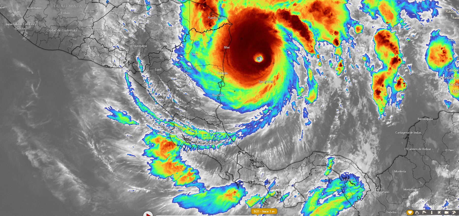
Se fortaleció más de lo esperado. El Centro Nacional de Huracanes (NHC) informó la mañana de este lunes que el huracán Iota aumentó su intensidad hasta la categoría 5 de la escala Saffir-Simpson, con vientos de 260 kilómetros por hora.
A las 9 am hora de Costa Rica, el ojo del huracán Iota fue localizado por el Avión Cazahuracanes de la Fuerza Aérea de los Estados Unidos a 65 kilómetros al oeste de la Isla de Providencia (Colombia) y a 160 kilómetros al este-sureste de Puerto Cabezas (Nicaragua), con una velocidad de desplazamiento de 15 kilómetros por hora.
El NHC estima que Iota tocará tierra esta misma noche en el noreste de Nicaragua, momento para el cual empezará a moverse hacia el oeste/oeste-suroeste impactando directamente a Honduras aún con fuerza de huracán, pero disipándose sobre América Central para el miércoles.
Los vientos con fuerza de huracán se extienden hasta 35 millas (55 km) del centro y los vientos con fuerza de tormenta tropical se extienden hasta 150 millas (240 km) desde el exterior. A esta hora, partes de Nicaragua ya reciben vientos con fuerza de tormenta tropical por parte de Iota.
Efectos catastróficos

El NHC de Estados Unidos advirtió que este huracán traerá efectos catastróficos para Centroamérica: vientos extremos, marejada ciclónica amenazante a la vida y lluvia extrema para América Central, ya golpeada por el huracán Eta días atrás.
Un Aviso de Huracán está en efecto para:
- Providencia
- La costa de Nicaragua desde la frontera entre Honduras y Nicaragua hasta Sandy Bay Sirpi
La costa del noreste de Honduras desde Punta Patuca hasta la frontera entre Honduras y Nicaragua
Una Vigilancia de Huracán está en efecto para:
- San Andres
Un Aviso de Tormenta Tropical está en efecto para:
- San Andres
- La costa de Nicaragua desde el sur de Sandy Bay Sirpi hasta Bluefields
- La costa norte de Honduras desde el oeste de Punta Patuca hasta la frontera entre Honduras y Guatemala.
- Las Islas de la Bahía
El NHC estima que Iota generará una marejada ciclónica que aumentará el nivel del mar entre 4 y 6 metros en las áreas donde el viento sople tierra adentro, a lo largo de la costa de Nicaragua y Honduras.
Se esperan vientos dañinos catastróficos donde la pared del ojo de Iota se mueva sobre tierra dentro del área bajo Aviso de Huracán en Nicaragua esta noche.
Se espera que Iota produzca las siguientes acumulaciones de lluvia hasta el jueves:
- Honduras, norte de Nicaragua, sureste de Guatemala y el sur de Belice: 10 a 20 pulgadas (500 a 500 litros). Cantidades aisladas máximas de 30 pulgadas (750 litros) serán posibles, especialmente desde el noreste de Nicaragua hasta el norte de Honduras.
- El Salvador y Panamá: 4 a 8 pulgadas (100 a 200 litros), con cantidades aisladas máximas totales de 12 pulgadas (300 litros).
Esta lluvia resultará en inundaciones repentinas y ríos desbordados amenazantes a la vida, así como en deslizamientos de tierra en áreas de terreno elevado.
- El sur de Nicaragua y Costa Rica: 3 a 5 pulgadas (75 a 125 litros), con cantidades aisladas máximas de 10 pulgadas (250 litros).
El Instituto Meteorológico Nacional (IMN) de Costa Rica estima que en el transcurso de la mañana se espera actividad lluviosa de variable intensidad en Pacífico Sur y sectores costeros de la Península de Nicoya, se estiman montos entre 30-60 litros, posibles acumulados mayores de forma localizada. Además, hay posibilidad de lluvias entre débiles y moderadas en la Zona Norte y montañas del Valle Central, acumulados entre 5-20 litros. En el resto del país no se prevén lluvias significativas.
Durante la tarde y noche se anticipan lluvias y aguaceros fuertes en todas las regiones del Pacífico, con acumulados entre 40-80 litros, con montos superiores de manera puntual. En el Valle Central, Zona Norte y montañas del Caribe se prevén lluvias y aguaceros aislados con montos entre 20-40 litros.

